.

Eines der auffallendsten Merkmale bei einer globalen Betrachtung des Planeten Mars ist die Zweiteilung in ein topographisch sehr vielgestaltiges Hochland auf der Südhalbkugel und flache, ausgedehnte Tiefebenen in der Nordhemisphäre. Geologisch interessant ist vor allem die Übergangszone zwischen Hoch- und Tiefland, da dort an vielen Landschaftsmerkmalen das Ergebnis von Erosionsprozessen beobachtet werden kann. Die hier vorgestellten Bilder zeigen Tafelberge in Aeolis Mensae und Formen intensiver Winderosion in der Übergangszone zum Tiefland.
Die Bilddaten wurden mit dem am DLR entwickelten Kamerasystem HRSC auf der europäischen Raumsonde Mars Express aufgenommen. Das Gebiet befindet sich etwa 400 Kilometer östlich des Kraters Gale, in dem das Mars Science Laboratory der NASA mit dem Rover Curiosity 2012 gelandet ist. Die Bildauflösung beträgt etwa 15 Meter pro Bildpunkt (Pixel).
Wind und Wasser nagen an der Landschaft
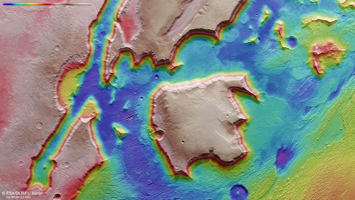
Das Gebiet ist von zahlreichen Bruchzonen, so genannten tektonischen Gräben, durchzogen. Durch die Dehnung der Marskruste entstanden viele frei stehende Tafelberge (im Englischen als Mesas bezeichnet, im Deutschen wird auch von Zeugenbergen gesprochen), deren ebene Hochflächen noch die frühere Ausdehnung des Marshochlandes nach Norden anzeigen. Im Süden dieser Szene, also in der linken Bildhälfte (Norden ist in den Bildern rechts) zieht sich ein großer Dehnungsbruch diagonal durch das Bild. Ein Überbleibsel der Dehnungsvorgänge ist der große Tafelberg genau in der Bildmitte, der eine Ausdehnung von etwa 40 mal 40 Kilometern hat und 2500 Meter hoch ist. Seine Oberfläche zeigt das Höhenniveau der sich weiter südlich anschließenden Hochlandregion von Hesperia Planum an.
Im Laufe der Jahrmillionen trugen Wind und möglicherweise auch Wasser und Eis abgerutschtes und verwittertes Gestein ab, sodass die Tafelberge im Laufe der Zeit immer kleiner wurden und in ferner Zukunft verschwinden werden. Dass der Wind in dieser Region des Mars eine "prägende Kraft" darstellt, lässt sich im Norden sehen, also in der rechten Hälfte der Bilder 1, 3 und 4: Dort ist die Landschaft von einem auffallenden Muster kleiner Rippen geprägt. Es handelt sich dabei um Yardangs oder "Windrippen". Sie entstehen, wenn der Wind über lange Zeiträume aus einer vorherrschenden Richtung bläst und die dabei mitgeführten Sand- und Staubpartikel aus dem Gestein regelrechte "Windgassen" fräsen. Das Wort Yardang stammt aus der Sprache der Uiguren und wird für steile Sandwälle und Windgassen in der Wüste Lop Nor.
.


Die Orientierung der meisten Yardangs verläuft von Südosten nach Nordwesten - dies ist folglich in dieser Region die vorherrschende Windrichtung. In diesem Gebiet fällt eine kleine, etwa 7,5 Kilometer lange steile Geländerippe auf, die genau quer zur Hauptrichtung der Yardangs steht. Ganz offensichtlich muss die Rippe aus hartem, sehr viel resistenterem Gestein bestehen, um der Erosionskraft des Windes widerstehen zu können. Möglicherweise handelt es sich um einen kleinen Dehnungsbruch, der quer zur tektonischen Hauptorientierung entstanden ist und von einem so genannten "Gang" aus vulkanischem Gestein gefüllt wurde, das nach dem Erstarren härter als das Umgebungsgestein ist.
An Weihnachten wird Mars Express 13 Jahre im Orbit sein
In diesen Tagen jährt sich die Ankunft von Mars Express zum 13. Mal: Als der ESA-Orbiter in der Nacht von Heilig Abend auf den ersten Weihnachtstag 2002 am Roten Planeten ankam, war die Mission nur auf zwei Erdenjahre (oder ein Marsjahr) ausgelegt. Wegen der großen wissenschaftlichen Ausbeute wurde sie mehrere Male verlängert, zuletzt bis Ende 2018. Die erste Planetenmission der ESA ist somit auch die bisher längste. Mit dem Kamerasystem HRSC wurden dabei bisher etwa 90 Prozent der Marsoberfläche - das sind 150 Millionen Quadratkilometer, was etwa der Fläche aller Kontinente auf der Erde entspricht - in hochaufgelösten Stereobilddaten und in Farbe erfasst. Bilddaten von etwa zwei Dritteln der Oberfläche konnten bereits zu digitalen Geländemodellen mit einer Genauigkeit von 40 Metern pro Bildpunkt und besser verarbeitet werden. Ziel des Kameraexperiments ist es, von der gesamten Marsoberfläche ein digitales Oberflächenmodell zu berechnen.
.


Die Aufnahmen mit der HRSC (High Resolution Stereo Camera) entstanden am 7. Juli 2015 während Orbit 14.605 von Mars Express aus etwa 360 Kilometern Höhe aufgenommen und gemeinsam von Wissenschaftlern des DLR und der Fachrichtung Planetologie und Fernerkundung an der Freien Universität Berlin verarbeitet. Das Gebiet befindet sich bei 5 Grad südlicher Breite und 146 Grad östlicher Länge. Die Bildauflösung beträgt etwa 15 Meter pro Bildpunkt (Pixel). Die Farbdraufsicht (Bild 1) wurde aus dem senkrecht auf die Marsoberfläche gerichteten Nadirkanal und den Farbkanälen der HRSC erstellt; die perspektivische Schrägansicht (Bild 2) wurde aus den Stereokanälen der HRSC berechnet. Das Anaglyphenbild (Bild 3), das bei Betrachtung mit einer Rot-Blau- oder Rot-Grün-Brille einen dreidimensionalen Eindruck der Landschaft vermittelt, wurde aus dem Nadirkanal und einem Stereokanal abgeleitet. Die in Regenbogenfarben kodierte Draufsicht (Bild 4) beruht auf einem digitalen Geländemodell der Region, von dem sich die Topographie der Landschaft ableiten lässt.
.
Das HRSC-Experiment
Die High Resolution Stereo Kamera wurde am Deutschen Zentrum für Luft- und Raumfahrt (DLR) entwickelt und in Kooperation mit industriellen Partnern gebaut (EADS Astrium, Lewicki Microelectronic GmbH und Jena-Optronik GmbH). Das Wissenschaftsteam unter Leitung des Principal Investigators (PI) Prof. Dr. Ralf Jaumann besteht aus 52 Co-Investigatoren, die aus 34 Institutionen und elf Nationen stammen. Die Kamera wird vom DLR-Institut für Planetenforschung in Berlin-Adlershof betrieben. Die hier gezeigten Darstellungen wurden von der Planetary Sciences Group an der Freien Universität Berlin erstellt.
Quelle: DLR
5163 Views
